Dwindling Habitats Are Cuase For Concern
Wildlife depends on habitats, and some are shrinking faster than ever before. These changes leave countless animals struggling to survive in places that were once thriving and habitable. Luckily, understanding what's at stake is the first step toward protecting and restoring the fragile balance of our ecosystem. So lets take a closer look at each of these 10 dwindling animal habitats before they're gone for good.
National Park Service on Wikimedia
1. The Florida Everglades
More than half of the Everglades has been drained for farming and development and has already destroyed the lifeline for species like herons, alligators, and panthers. This vast wetland is shrinking fast. Without protection, the habitat will vanish entirely, leaving its unique wildlife nowhere to survive.
2. The Santa Monica Mountains
Urban expansion has sliced through California's Santa Monica Mountains, cutting off specific lion territories. Highways now force these big cats into human areas where survival becomes a daily challenge. Wildlife corridors are needed to keep these predators connected to their shrinking wilderness.
3. Borneo's Rainforests
Borneo's rainforests, once lush and sprawling, have lost 80% of their cover to palm oil plantations. Orangutans, Asia's great apes, now swing through fragmented canopies, struggling to find food & shelter. Urgent action is a no-brainer to save Asia's great apes from becoming a relic of the past.
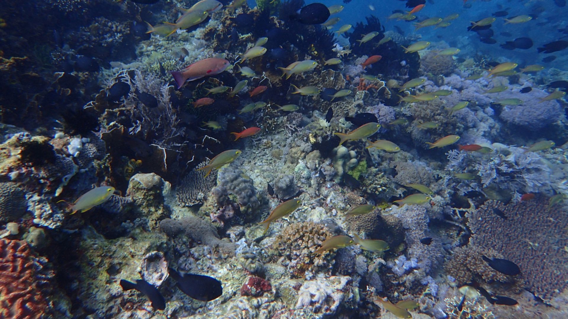
4. Australia's Great Barrier Reef
Half of the Great Barrier Reef's coral has vanished in just three decades. Rising ocean temperatures destroy the reef, forcing fish, turtles, and eels to flee their dying home. If the reef disappears, an entire underwater ecosystem will go with it.
Steve Evans from Citizen of the World on Wikimedia
5. The Great Plains Grasslands
Once teeming with prairie dogs and bison, 98% of the Great Plains grasslands are now farmland or cities. Prairies used to be ecosystem builders but now have no ground left to burrow. Protecting the remaining patches is essential to revive balance in this often-overlooked habitat.
6. Amazon Rainforest
Often called the "lungs of the Earth," the Amazon rainforest is disappearing rapidly due to deforestation for cattle ranching and agriculture. Sadly, this destruction threatens countless species, including jaguars and macaws. The collapse of the Amazon could disrupt global climate systems and biodiversity in ways that may be irreversible.
7. Arctic Sea Ice
Polar bears, seals, and walruses depend on sea ice for survival, but melting ice caused by global warming is pushing them closer to extinction. Ice loss disrupts hunting and breeding patterns, leaving these species with nowhere to go in a rapidly changing Arctic environment.
8. Madagascar's Forests
With over 90% already gone, Madagascar's forests are among the most endangered habitats. Home to lemurs and other unique wildlife, this biodiversity hotspot is being cleared for agriculture and logging. Protecting what remains is critical to saving species that exist nowhere else on Earth.
9. Sundarbans Mangroves
The Sundarbans, located in India and Bangladesh, are vital for Bengal tigers and aquatic life. Rising sea levels and human encroachment are shrinking this critical mangrove forest, which also serves as a natural flood barrier for millions of people living along its coastlines.
10. Coral Triangle
Located in Southeast Asia, the Coral Triangle houses 75% of the world's coral species and supports turtles, sharks, and vibrant marine ecosystems. Overfishing, pollution, and warming seas threaten to turn this underwater paradise into a lifeless expanse, putting countless species in danger.









